El Fenómeno Meteorológico Avanza Frente a las Costas de Oaxaca, Dejando Lluvias a su Paso
——-
Activan Plan Marina en su Fase de Prevención está Listo para Brindar Apoyo a la Población
——-
Autoridades de los Tres Niveles Sesionan Ante Posibles Afectaciones
*INSTITUCIONES EDUCATIVAS DE TAPACHULA Y MUNICIPIOS DE LA COSTA Y SOCONUSCO DECIDIERON TOMAR MEDIDAS PREVENTIVAS, PARA NO PONER EN RIESGO AL ALUMNADO Y DOCENTES.
Tapachula, Chiapas; 18 de junio de 2025.– Como medida preventiva ante la amenaza del huracán Erikc, las autoridades educativas del municipio de Tapachula han suspendido este miércoles las clases en todos los niveles escolares. La decisión responde al alto riesgo de lluvias intensas y posibles afectaciones en caminos y zonas vulnerables de la región.
Muchos niños y jóvenes deben caminar por veredas, cruzar arroyos o puentes, lo que representa un riesgo ante la inestabilidad climática. Por eso, en conjunto con los supervisores educativos, decidimos suspender las clases por este día, explicó.
La suspensión es por ahora válida únicamente para este miércoles, aunque las autoridades se mantienen atentas a la evolución del huracán Erikc.
Se espera que en el transcurso del día se emita un nuevo comunicado para informar si las clases se reanudarán el jueves o si la suspensión se extenderá.
La directora hizo un llamado a los padres de familia para mantenerse informados y seguir las indicaciones de Protección Civil, al tiempo que subrayó que esta situación no se trata de lluvias comunes, sino de un fenómeno meteorológico con potencial destructivo.
La prioridad es la seguridad. No queremos lamentar accidentes o situaciones de riesgo, por eso pedimos a la población estar atenta y tomar precauciones, concluyó. EL ORBE/Nelson Bautista
Plan Marina en su Fase de Prevención
Está Listo Para Brindar Apoyo a la Población
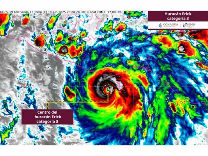
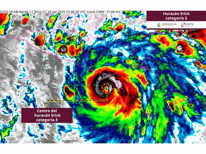
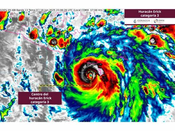
La Secretaría de Marina a través de la Armada de México, informa que desde ayer se activó el Plan Marina en Fase de Prevención, en los estados de Colima, Tabasco y Campeche, que se suman a Oaxaca y Guerrero, donde el personal naval se encuentra listo para brindar apoyo a la población ante el posible impacto del huracán “Erick”, actualmente categoría uno, el cual se localiza a aproximadamente 109 millas náuticas (202 kilómetros) al Sur-Sureste de Puerto Ángel, Oaxaca.
Se espera que su trayectoria de impacto sea en inmediaciones de Punta Maldonado, Guerrero, entre las 07:00 y las 09:00 horas de mañana jueves 19 de junio, como huracán categoría dos, muy cercano a categoría tres. EL ORBE/ Meda de Redacción.
Asimismo, se esperan lluvias muy fuertes, las cuales provocarán inundaciones y deslizamientos de laderas potencialmente mortales, especialmente en zonas de terreno escarpado, crecida y desbordamiento de ríos y sistemas lagunares, con vientos fuertes que podrían ocasionar caída de árboles, letreros espectaculares y levantamiento de objetos sueltos en los estados de Oaxaca y Guerrero.
De igual manera, debido a la marea de tormenta, se espera un incremento en el oleaje, ocasionando posibles daños en casas, estructuras y señalizaciones cercanos a la playa; así como en muelles del estado de Oaxaca.
En este contexto, la Sexta Región Naval con sede en Manzanillo, Colima y su jurisdicción en Puerto Vallarta, Jal.; e Isla Socorro, Colima, se encuentra preparada con 1,722 elementos, 159 efectivos de la Brigada de Respuesta a Emergencias, 18 vehículos, 14 embarcaciones, cinco plantas generadoras eléctricas, cuatro plantas potabilizadoras de agua, una cocina móvil, nueve motosierras y dos motobombas de achique, que se encuentran listos para brindar apoyo a la población en caso de requerirse.
De igual manera, la Tercera Región Naval con sede en Dos Bocas, Tabasco y su jurisdicción en Frontera, Tabasco; así como Ciudad del Carmen y Champotón, Campeche; se encuentra lista con 7,208 elementos, 315 efectivos de la Brigada de Respuesta a Emergencias, 42 vehículos, siete buques, 13 embarcaciones, 11 aeronaves, cuatro cocinas móviles y cuatro plantas generadoras eléctricas.
Cabe recordar que la Fase de Prevención del Plan Marina incluye las medidas tendientes a evitar o mitigar los daños a la vida de las personas, los bienes de la población, la planta productiva, los servicios públicos y medio ambiente; y durante la misma se desarrollarán acciones permanentes en un estado de normalidad y acciones previas ante la probable o inminente afectación de un agente destructivo.
Se recomienda a la ciudadanía en general mantenerse informados y atender las medidas que la Secretaría de Marina, Protección Civil y autoridades estatales y locales les indiquen, así como a la comunidad marítima para atender los avisos e indicaciones que emitan las Capitanías de Puerto, para evitar riesgos innecesarios a sus instalaciones, embarcaciones y salvaguardar la vida humana en la mar. EL ORBE/ Ernesto L. Quinteros.





